Esta mañana el presidente de México, Andrés Manuel López Obrador dijo que se brinda protección a la población en el...
Read moreEn la Ciudad de México (CDMX), la Secretaría de Gestión Integral de Riesgos y Protección Civil (SGIRPC) activó la alerta...
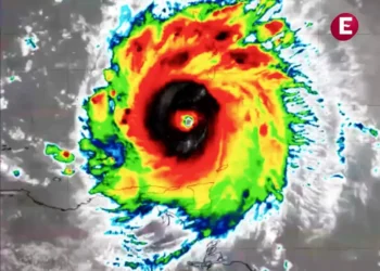
Read moreAnte el pronóstico de que el huracán Beryl de categoría 5 pegará en costas mexicanas hacia finales de la presente...
Read moreEl huracán Beryl se mantiene como categoría 5 y con poderosos vientos mientras se dirige hacia Jamaica, donde se prevé...
Read moreEn el marco del informe de salud quincenal que se presenta en la conferencia mañanera del presidente de México, Andrés...
Read moreEste martes el titular del Instituto Mexicano del Seguro Social (IMSS), Zoé Robledo Aburto, presentó un informe sobre el estado...
Read moreEl peso mexicano se recuperó al inicio de la sesión de este martes, con lo que el precio del dólar...
Read moreEl Servicio Meteorológico Nacional (SMN) dio a conocer el pronóstico del clima México hoy 2 de julio de 2024, en...
Read moreClaudia Sheinbaum, virtual presidenta electa, convocó este lunes a la militancia del partido Morena a difundir la reforma al Poder...
Read moreEl huracán Beryl impactará dos veces a México durante este fin de semana, a donde se sigue acercando a través...
Read more